Farmhouse to Renovate in Montebamboli – 67 Hectares of Organic Land

€450,000

Overview

Description

Reference : EK-120379708

In an elevated, quiet and private position, away from the main roads and surrounded by nature, we offer for sale a typical Tuscan farm completely to renovate, with great potential for residential or agricultural use.

The property is on two levels:

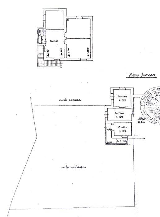
On the ground floor there are the old cellars, used as tool shed and storage spaces. These large and versatile rooms can be transformed into habitable rooms with the right renovation.

On the first floor, already used as a home, there are three bedrooms, a bathroom and a large living room with fireplace, perfect for those who love the rustic and authentic atmosphere.

Outside, the property has a garden of about 800 square meters and extends for 67 hectares of certified organic land, divided as follows:

30 hectares of arable land, which include:
• 2.5 hectares of olive grove with about 200 olive trees already present
• 0.5 hectares of vineyard

The remaining land is coppice

The property is powered by two wells, a fundamental resource for irrigation and agricultural management.

An ideal proposal for those who want to build a home in the countryside, start a sustainable agricultural business or invest in a rural development project in the heart of the Maremma.

Disclaimer:
The images in the advert are the result of a virtual home staging intervention, created to facilitate the vision of the spaces and potential of the property. The dimensions and layout of the rooms faithfully reflect the real structure of the property.

Characteristics

Typology

Farmhouse | Entire property

Floor

Ground floor, 1

Elevator

No

Locals

5+

Kitchen

Kitchen kitchenette

Furnished

No

Terrace

No

Air conditioning

Autonomous, cold/hot

Contract

Sale

Building plans

1

Surface

180 m² | commercial 220 m²

Bedrooms

3

Bathrooms

1

Balcony

No

Boxes, parking spaces

3 in shared parking/garage

Other Features

Surface Detail

House

Floor

Ground floor

Surface

90.0 m²

Coefficient

100%
Surface type

Principal

Commercial sup.
90.0 m²

House

Floor

1

Surface

90.0 m²

Coefficient

100%

Surface type
Principal
Commercial sup.

90.0 m²

Garden

Floor

Ground floor

Surface

800.0 m²

Coefficient

2.0 m²

Surface type

Accessories
Commercial sup.
40.0 m²

Floor Plan

Get in touch

Featured Properties